** PLEASE NOTE CHANGE IN LOCATION **

 

In the matter of Sections 17 and 22 of the Planning Act, the Town of Petawawa hereby gives notice of the following:

  1. An application to amend the Town of Petawawa Official Plan
  2. A public meeting regarding application for an amendment to the Town of Petawawa Official Plan

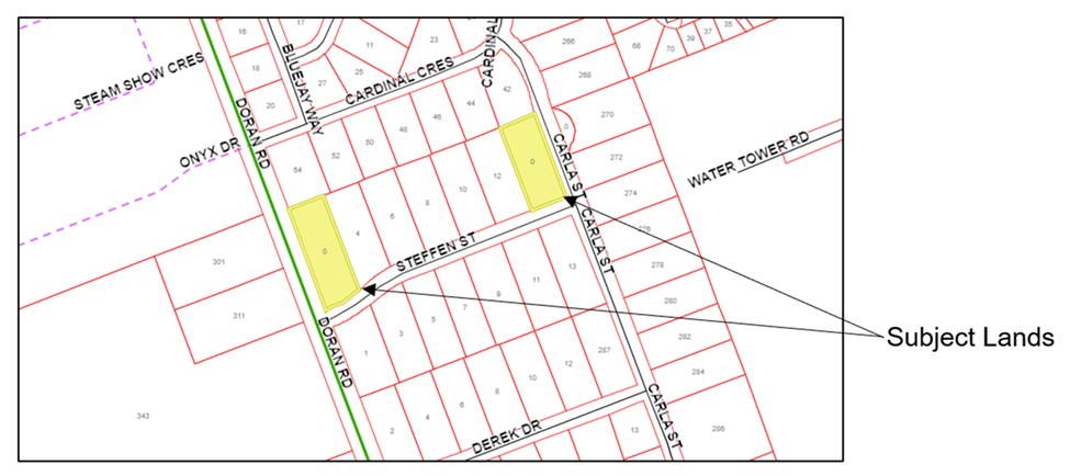
Subject Lands              Registered Plan 547 Lots 1 & 7, as shown on the attached key map.

Public Meeting           A public meeting to inform the public of the proposed official plan amendment will be held on November 03, 2025 at 6:30 p.m. at the Town of Petawawa Municipal Office, 1111 Victoria Street. Silver Threads Seniors Centre, 1163 Victoria Street, Petawawa

Proposed Official Plan Amendment

The purpose of the proposed official plan amendment is to amend the Suburban – Exception Two designation to permit the creation of up to four residential lots by consent (up to two new lots on each existing lot) on partial services.

Additional information regarding the proposed official plan amendment is available for inspection at the Town of Petawawa Municipal Office (1111 Victoria Street) during regular office hours, or by contacting the Town office at 613-687-5536 or by emailing planning@petawawa.ca.

If a person or public body would otherwise have an ability to appeal the decision of the Town of Petawawa to the Ontario Land Tribunal but the person or public body does not make oral submissions at a public meeting or make written submissions to the Town of Petawawa before the proposed official plan amendment is adopted, the person or public body is not entitled to appeal the decision.

If a person or public body does not make oral submissions at a public meeting or make written submissions to the Town of Petawawa before the proposed official plan amendment is adopted, the person or public body may not be added as a party to the hearing of an appeal before the Ontario Land Tribunal unless, in the opinion of the Tribunal, there are reasonable grounds to add the person or the public body as a party.

If you wish to be notified of the decision of the Town of Petawawa on the proposed official plan amendment, you must make a written request to the Town of Petawawa at 1111 Victoria Street, Petawawa, ON K8H 2E6.

Other Applications

Two consent (severance) applications have been conditionally approved for the subject lands:

  • B134/24
  • B135/24

These applications are associated with a previous proposal and have not been finalized. If the proposed Official Plan Amendment is approved, the proponent will be able to submit four new consent applications to the County of Renfrew for approval.

Note: One of the purposes of the Planning Act is to provide for planning processes that are open, accessible, timely and efficient.  Accordingly, all written submissions, documents, correspondence, e-mails or other communications (including your name and address) form part of the public record and will be disclosed/made available by the Municipality to such persons as the Municipality sees fit, including anyone requesting such information. Accordingly, in providing such information, you shall be deemed to have consented to its use and disclosure as part of the planning process.

Dated at the Town of Petawawa this 10th day of October 2025.

Melanie Scheer, RPP, MCIP

Director of Planning and Development

More Notices

2 Mohns Ave.